Inproin. Ingeniería y Proyectos
Empresa
▼
Noticias
Historia
Equipo
Sedes Inproin
Gestión Integral
Localización de Obras
Comercial
▼
Centros Comerciales
Hipermercados
Supermercados
Equipamientos
Hostelería
Oficinas
Industrial
▼
Industria Alimentaria
Industria Productiva
Industria Reciclaje
Logística y transporte
Urbanismo Industrial
Instalación maquinaria
Infraestructuras
▼
Subestaciones
Líneas Eléctricas
Ingeniería Incendios
Climatización
Ingeniería Acústica
Estructuras singulares
Baja Tensión
Centros de Transformación
Frío Industrial
Renovables
▼
Eólica
Fotovoltaica
Termosolar
Biomasa
Minihidráulica
Geotermia
Clientes
Contacto
eng
·
esp
·
por
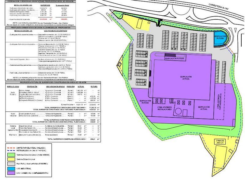
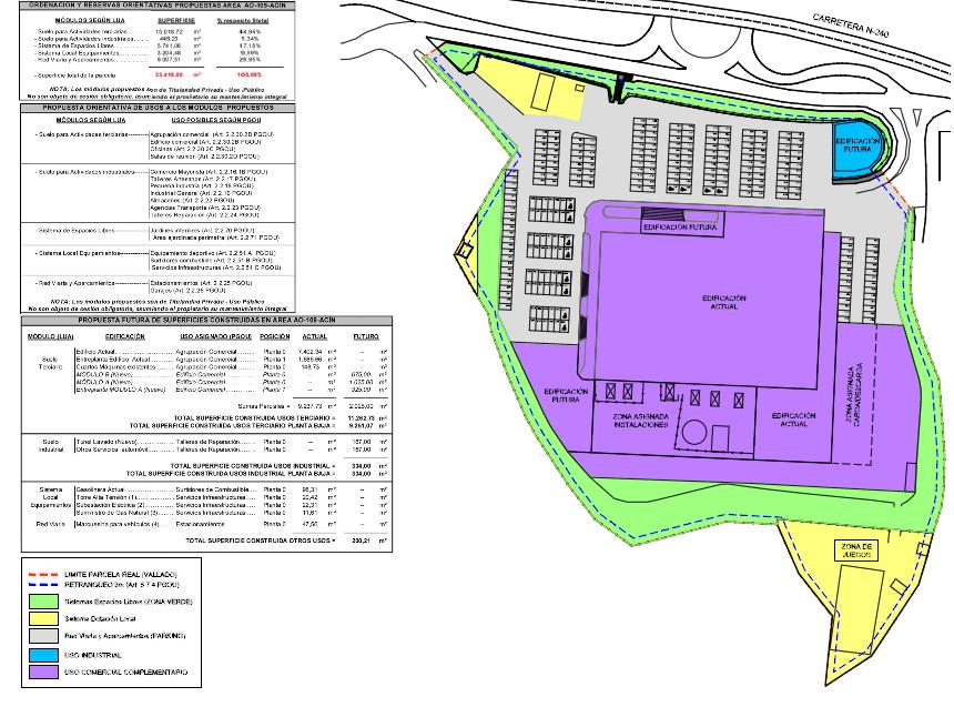
Estudio Detalle Parcela HIPERSIMPLY BARBASTRO
Nombre: Estudio Urbanístico y de Detalle para ordenación parcela Industrial-Comercial
Cliente: Supermercados Sabeco SA
Ubicación: Barbastro
Superficie Urbanizada: 33.418,00 m2
Año: 2011
<< Volver
Gestión
Integral
Tu proyecto de principio a fin
Contacta
con nosotros
Conoce nuestras capacidades
Últimas noticias
Renovación tiendas para Supermercados Sabeco SA
15-09-2015
.
Asistencia Técnica Central Frigorífica Hipersimply Vilanova
01-07-2015
.
Ver todas las noticias >>
Más Proyectos:
Modificación PGOU Parcela HIPERSIMPLY ESTELLA
Urbanización y Naves Promoción AGORLO INMOBILIARIA
Hipersimply Vilanova i La Geltrú